






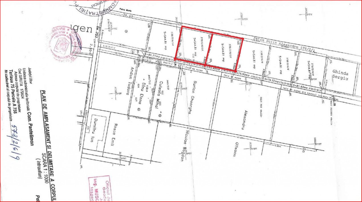
Vă propunem spre vânzare un teren intravilan cu suprafața totală de 1.090 mp, situat în Pantelimon, Strada Vatra Dornei nr. 10 și 12, într-o zonă rezidențială apreciată pentru accesibilitate, liniște și potențial de dezvoltare.
Proprietatea este compusă din două loturi a câte 545 mp, având o deschidere totală generoasă de 48,17 ml, un avantaj important atât pentru dezvoltare rezidențială, cât și pentru investiție.
Terenul are formă regulată, este plan și încadrat în categoria intravilan – curți construcții, fiind potrivit pentru edificarea unor locuințe individuale sau a unui proiect rezidențial de mici dimensiuni. Regimul urbanistic permite construire P+2+M, cu POT 30%, CUT 0,9 și înălțime maximă admisă de 10 m, ceea ce oferă flexibilitate și un bun potențial de valorificare.
Un alt avantaj major îl reprezintă infrastructura zonei: proprietatea beneficiază de acces la utilități precum curent, apă, canalizare, gaz, iar în zonă sunt menționate și alte facilități conexe de infrastructură și comunicații.
Prin poziționare, deschiderea amplă și parametrii urbanistici avantajoși, acest teren reprezintă o oportunitate excelentă pentru cei care doresc să construiască într-o zonă aflată în continuă dezvoltare, aproape de București, dar cu avantajele unui cadru mai aerisit și mai bine organizat.